Logo Logo Logo Logo Logo
  • Aktuelles
  • Mobilitätskonzept
  • Karte
  • Doku & Download
  •  
  • Aktuelles
  • Mobilitätskonzept
  • Karte
  • Doku & Download
  •  

Aktuelles

Besuch uns auf Facebook
  • 30. Januar 2024

    Baugrunduntersuchung für Landesgartenschau

    Im unteren Stadtgraben stehen ab Dienstag, 30. Januar, Baugrunduntersuchungen für die Landesgartenschau an. Zu diesem Zweck ist ein sogenannter Schreitbagger im Einsatz. Einbezogen wird auch der Hang zwischen historischer Innenstadt…

    30. Januar 2024
  • 22. Dezember 2023

    Brücken und Wege für die Landesgartenschau 2028

    Der Gemeinderat hat am Mittwoch, 22. November, die fortgeschriebene Planung zu den Daueranlagen der Landesgartenschau 2028 beschlossen. Insbesondere betrifft dies die neue Hauptwegekonzeption mit Lückenschluss Radverkehr, Neckarbrücken, Erneuerung Schindelbrücke, Gartenschaubrücke…

    22. Dezember 2023
  • 22. Dezember 2023

    Fünf Millionen Euro für die Landesgartenschau

    Die Stadt Rottweil hat am Donnerstag, 21. Dezember, den Zuwendungsbescheid für die Landesgartenschau 2028 erhalten. Damit verbunden sind Gelder aus dem Programm „Natur in Stadt und Land“ über fünf Millionen…

    22. Dezember 2023
  • 30. November 2023

    Kostenloses Parken und Busfahren an Samstagen

    Noch bis zum Jahresende kann man auf den großen innenstadtnahen Parkplätzen in Rottweil jeden Samstag gebührenfrei parken. Auch das Busfahren in die Innenstadt ist samstags weiterhin kostenlos. Die Stadtverwaltung hatte…

    30. November 2023
  • 10. November 2023

    Fahrradstraße: Arbeiten in der der Körnerstraße laufen

    Wie bereits angekündigt, wird die Körnerstraße derzeit zu einer Fahrradstraße umgebaut. Sie verbindet die Innenstadt mit dem Sportgelände am Stadion und soll künftig das Radfahren in diesem Bereich sicherer und…

    10. November 2023
  • 3. November 2023

    Musterachse liefert viele Erkenntnisse für künftige Projekte

    Die Drainage fehlt noch, der Wurzelvorhang auch, doch dann ist die Sanierung der Stadtmauer-Musterachse am Schwarzen Graben abgeschlossen, wie der städtische Restaurator Stefan Widmer, der die Maßnahme verantwortet, informiert. Die…

    3. November 2023
  • 25. Oktober 2023

    Johannserort: Anwohner zeigen großes Interesse am Kameralamtsgarten

    Mobile Bäume, neue Verkehrsführungen und manche Maßnahme mehr wurde in den vergangenen Monaten in Rottweils Innenstadtquartieren umgesetzt, um die Aufenthaltsqualität dort zu verbessern – manches erstmal testweise. Um zu konkretisieren,…

    25. Oktober 2023
  • 19. Oktober 2023

    Quartiersgespräche im Johannser- und Lorenzort

    Nach dem Sprengerort steht nun am Donnerstag, 19. Oktober, ab 17 Uhr der Johannserort auf dem Programm. Treffpunkt ist am „Soluna“. Ein weiteres Gespräch im Lorenzort findet am Donnerstag, 26. Oktober, ab…

    19. Oktober 2023
  • 16. Oktober 2023

    Sprengerort: Neue Verkehrsführung gefällt auch den Anwohnern

    Mobile Bäume, neue Verkehrsführungen und manche Maßnahme mehr wurde in den vergangenen Monaten in Rottweils Innenstadtquartieren umgesetzt, um die Aufenthaltsqualität dort zu verbessern – manches erstmal testweise. Um zu konkretisieren,…

    16. Oktober 2023
  • 13. Oktober 2023

    Spatenstich für den Neubau des ENRW-Unternehmenssitzes in Neufra

    Die Energieversorgung Rottweil (ENRW) verlagert ihren Unternehmensstandort ins Gewerbegebiet des Rottweiler Ortsteils Neufra. Der symbolische Spatenstich bildete nun den offiziellen Startschuss für das Bauvorhaben, welches bis 2025 abgeschlossen sein soll.…

    13. Oktober 2023
  • 13. Oktober 2023

    Staatssekretärin Elke Zimmer informiert sich in Rottweil

    Staatssekretärin Elke Zimmer vom Verkehrsministerium Baden-Württemberg hat sich am Freitag, 13. Oktober, über den Stand des Rottweiler Verkehrsversuchs und die Planungen zur Landesgartenschau 2028 informiert. Nach einer Präsentation der Projekte…

    13. Oktober 2023
  • 13. Oktober 2023

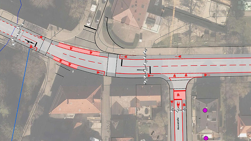
    Überblick: Geänderte Verkehrsführung in der Innenstadt

    Nach dem Volksbanklauf mit Verkaufsoffenem Sonntag am 15. Oktober endet der Rottweiler Verkehrsversuch in weiten Teilen: Die Einbahnregelung in der Waldtorstraße wird aufgehoben, die Marxstraße erhält wieder zwei Abbiegespuren. Auf…

    13. Oktober 2023
  • 29. September 2023

    In den Quartieren wird Bilanz gezogen

    Sitzgelegenheiten wurden geschaffen, mobile Bäume aufgestellt und die Verkehrsführung geändert. In den Vierteln der historischen Innenstadt hat die Stadtverwaltung im Sommer vieles davon umgesetzt, was mit den Einwohnern bei den…

    29. September 2023
  • 13. September 2023

    Verkehrsversuch geht in die dritte Phase

    Nach den Sommerferien tritt der Rottweiler Verkehrsversuch nun in seine dritte Phase, die bis zum 15. Oktober geht. Während des Versuchs testet die Stadtverwaltung eine neue Verkehrsführung, um die historische…

    13. September 2023
  • 29. Juli 2023

    Wenn plötzlich der Neckar durchs Schwarze Tor fließt

    Zwei Tage lang haben die Streetart-Künstlerin Nicole Haeger und ihr Team das überdimensionale Hüpfspiel mit Neckar, Ufer und allerlei Getier in der Fußgängerzone aufgemalt. Die Mühe hat sich gelohnt, denn…

    29. Juli 2023
  • 27. Juli 2023

    Verkehrsversuch: Zweite Phase startet mit Beginn der Sommerferien

    Der Rottweiler Verkehrsversuch geht in seine zweite Phase: Nach der Anlaufphase seit dem 1. Juli folgt nun eine Zeit, in der es erfahrungsgemäß etwas ruhiger auf Rottweils Straßen zugeht. Gleichzeitig…

    27. Juli 2023
  • 3. Juli 2023

    Landesgartenschau: OB Dr. Ruf lädt wieder zu Bürgerrundgängen ein

    Einblicke in den aktuellen Planungsstand der Landesgartenschau 2028 bieten Rundgänge mit Oberbürgermeister Dr. Christian Ruf am Freitag, 7. Juli, 17 Uhr und am Samstag, 8. Juli, 14 Uhr. Die Teilnehmerzahl…

    3. Juli 2023
  • 29. Juni 2023

    Jetzt geht’s los: Am Samstag startet der Rottweiler Verkehrsversuch!

    Am frühen Samstagmorgen, 1. Juli, startet in Rottweil der Verkehrsversuch. Gut drei Monate lang gilt dann auf dem Friedrichsplatz und in der Waldtorstraße eine Einbahnregelung. Die Stadt Rottweil will testen,…

    29. Juni 2023
  • 20. Juni 2023

    Rottweil radelt für den Klimaschutz

    Bei der Aktion „STADTRADELN“ ist bis zum 8. Juli 2023 ganz Rottweil aufgefordert, gemeinsam für den Klimaschutz in die Pedale zu treten. Die Stadtverwaltung Rottweil unterstützt die Aktion bereits zum…

    20. Juni 2023
  • 14. Juni 2023

    Verkehrsversuch soll die Blechlawine stoppen

    Täglich quält sich eine Blechlawine durch die historische Innenstadt – eine Belastung für Fußgänger, Radfahrer, Bewohner und Besucher. Seit Jahren besteht der Wunsch aus der Bevölkerung, hier Abhilfe zu schaffen…

    14. Juni 2023
  • 23. Mai 2023

    Bürger zeigen großes Interesse Landesgartenschau-Planung

    Erste Spuren der Landesgartenschau 2028 gibt es bereits jetzt zu entdecken und das Interesse der Bürger an den Plänen ist groß. Dies zeigen nicht zuletzt die Teilnehmerzahlen der drei Bürgerrundgänge…

    23. Mai 2023
  • 17. Mai 2023

    „PLATZHALTER-Aktion vor der Bacchus-Vinothek

    Wie bereits im Gemeinderat angekündigt, wurde am Freitag ,12. Mai, in der Oberndorfer Straße vor der Bacchus-Vinothek ein weiteres Kunstwerk im Rahmen der Aktion „PLATZHALTER– Kunst trifft Natur“ aufgestellt, bei…

    17. Mai 2023
  • 15. Mai 2023

    Stadtsanierung macht Fortschritte

    Einen spannenden Blick hinter die Kulissen bot wieder der Tag der Städtebauförderung, an dem die Stadt Rottweil auch dieses Jahr wieder teilgenommen hat. Im Mittelpunkt standen die beiden Sanierungsgebiete „Stadtmitte“…

    15. Mai 2023
  • 5. Mai 2023

    Gartenschau Balingen: Rottweil gratuliert zu Eröffnung

    Die Stadtverwaltung Rottweil hat auf Einladung der Nachbarkommune an der Eröffnung der Gartenschau Balingen teilgenommen. Zusammen mit einer kleinen Delegation der Stadtverwaltung besuchte Oberbürgermeister Dr. Christian Ruf die Veranstaltung, die…

    5. Mai 2023
  • 5. Mai 2023

    Waldtor-Ort: Brezeltaste und Kreisverkehr ausführlich diskutiert

    Der Waldtor-Ort bildete den Abschluss des Ortsterminreigens im Nachgang zu den Quartiersgesprächen im Kapuziner. Auch hier wurde gemeinsam mit den Anwohnern über mögliche Maßnahmen zur Verkehrsberuhigung diskutiert. Vor allem der…

    5. Mai 2023
  • 5. Mai 2023

    Spannende Blicke hinter die Kulissen der Stadtsanierung

    Rottweil beteiligt sich am Samstag, 13. Mai, wieder am bundesweiten „Tag der Städtebauförderung 2023“. Wie in den zurückliegenden Jahren stehen an diesem Aktionstag die Sanierungsgebiete „Stadtmitte“ und „In der Au“…

    5. Mai 2023
  • 28. April 2023

    Quartiersgespräche tragen erste Früchte

    Den Schleich- und Parksuchverkehr aus dem Sprengerort so gut es eben geht, zu verbannen, war ein erklärtes Ziel, das sich aus den Quartiersgesprächen und dem Rundgang mit den Anwohnern ergeben…

    28. April 2023
  • 27. April 2023

    OB Dr. Christian Ruf pflanzt Baum des Jahres 2023

    Oberbürgermeister Dr. Christian Ruf hat gemeinsam mit dem Leiter der Abteilung Stadtgrün & Gewässer, Micha Sonnenfroh und Ortsvorsteher Wolfgang Dreher den „Baum des Jahres 2023“ im Göllsdorfer Neubaugebiet „Brunnenäcker" gepflanzt.…

    27. April 2023
  • 25. April 2023

    Vor-Ort-Gespräch im Heilig-Kreuz-Ort: Münsterplatz bietet neue Perspektiven

    Donnerstag für Donnerstag geht es bei den Ortsterminen im Nachgang zu den Quartiersgesprächen in die einzelnen Quartiere, um gemeinsam mit den Anwohnern über mögliche Maßnahmen zu diskutieren. Am 20. April…

    25. April 2023
  • 25. April 2023

    Quartiersgespräch im Waldtorort

    Das fünfte Vor-Ort-Gespräch im Rahmen der Rottweiler Quartiersgespräche geht am kommenden Donnerstag, 27. April, im Waldtorort über die Bühne. Los geht es um 17 Uhr. Treffpunkt ist oberhalb des Schwarzen…

    25. April 2023
  • 21. April 2023

    Landesgartenschau: Bürgerrundgänge starten wieder

    Einblicke in den aktuellen Planungsstand der Landesgartenschau 2028 bieten Rundgänge mit Oberbürgermeister Dr. Christian Ruf am Freitag, 28. April, 17 Uhr und am Samstag, 29. April, 14 Uhr. Die Teilnehmerzahl…

    21. April 2023
  • 19. April 2023

    Gemeinderat beschließt fortgeschriebene Planung

    Der Gemeinderat der Stadt Rottweil hat am 19. April einstimmig die fortgeschriebene Planung für die Landesgartenschau 2028 in Rottweil beschlossen. Mitenthalten ist eine Gartenschaubrücke über den Neckar und die Bahngleise…

    19. April 2023
  • 18. April 2023

    Heilig-Kreuz-Ort rückt in den Fokus

    Nach der Osterpause geht es jetzt mit den Quartiersgesprächen in der historischen Innenstadt weiter. Nächster Termin ist am kommenden Donnerstag, 20. April, im Heilig-Kreuz-Ort. Eine Woche später trifft man sich…

    18. April 2023
  • 3. April 2023

    Lorenzort: Poller zeigt hier bereits erste Erfolge

    Bei den Quartiersgesprächen im Kapuziner zum Jahresanfang konnten sich Anwohner und Interessierte ausführlich über die Vorhaben zur Verkehrsberuhigung in den Quartieren informieren und eigene Ideen einbringen. Bei den Ortsterminen geht…

    3. April 2023
  • 27. März 2023

    Johannserort: Kameralamtsgarten wird zum „Bürgergarten“

    Bei den Quartiersgesprächen im Kapuziner der vergangenen Wochen konnten sich Anwohner und Interessierte ausführlich über die Vorhaben zur Verkehrsberuhigung in den Quartieren informieren und eigene Ideen einbringen, die von den…

    27. März 2023
  • 22. März 2023

    Sprengerort: Vor allem der Abkürzungsverkehr nervt

    Bei den Quartiersgesprächen im Kapuziner konnten sich Anwohner und Interessierte ausführlich über die Vorhaben zur Verkehrsberuhigung in den Quartieren informieren und auch ihre eigenen Vorstellungen und Ideen mit einbringen, die…

    22. März 2023
  • 20. März 2023

    Pegel am Neckarwehr wird schrittweise gesenkt

    Am Neckarwehr des städtischen Energieversorgers ENRW sind die Vorbereitungen für die Renaturierung des Neckars angelaufen. Zunächst wird bis Samstagmittag der Pegelstand um rund 75 Zentimeter abgesenkt. Über die Sommermonate kann…

    20. März 2023
  • 10. März 2023

    Quartiersgespräche: Jetzt geht es vor Ort weiter

    Nach dem Auftakt der Quartiersgespräche im Kapuziner bietet die Stadtverwaltung nun Vor-Ort-Termine in den einzelnen Vierteln der historischen Innenstadt an. Gemeinsam mit den Anwohnerinnen und Anwohnern möchte die Stadtverwaltung dabei…

    10. März 2023
  • 9. März 2023

    Verkehrsversuch stößt auf großes Bürgerinteresse

    Die Innenstadt attraktiver zu gestalten, die Aufenthaltsqualität zu verbessern und den Verkehr möglichst zu minimieren, das ist der Wunsch vieler Bürger und das wünschenswerte Ziel des Verkehrsversuches, den die Stadtverwaltung…

    9. März 2023
  • 6. März 2023

    Viele Ideen und Anregungen auf der Agenda

    „Mit der Innenstadt reden, anstatt über sie“, das ist das Motto von Oberbürgermeister Dr. Christian Ruf für die Quartiersgespräche. Nach dem erfolgreichen Auftakt im Januar fand nun am 2. März…

    6. März 2023
  • 24. Februar 2023

    Regierungspräsidium lässt Teich nördlich des Bahnhofs in Rottweil erweitern

    Das Regierungspräsidium Freiburg (RP) lässt einen nördlich des Rottweiler Bahnhofs liegenden Teich erweitern, um den vom Umbau des Neckars vorübergehend betroffenen Teichhühnern und Zwergtauchern ein Rückzugsgebiet zu schaffen. Damit beginnen…

    24. Februar 2023
  • 24. Februar 2023

    Für eine lebendige Innenstadt: Stadt stellt Testlauf vor

    Die Stadt Rottweil möchte im Sommer einen groß angelegten Verkehrsversuch in der Innenstadt durchführen. Erklärtes Ziel: Weniger Verkehr und mehr Lebensqualität im historischen Stadtkern. Dazu soll der Friedrichsplatz testweise für…

    24. Februar 2023
  • 24. Februar 2023

    Zweite Runde bei den Quartiersgesprächen

    Wie könnte der Verkehr gelenkt werden, wo besteht die Möglichkeit, Plätze zu gestalten, um den Quartieren in der historischen Innenstadt mehr Aufenthaltsqualität zu geben? Bei den Quartiersgesprächen, zu denen die…

    24. Februar 2023
  • 7. Februar 2023

    Videos: Rundgänge am Neckar zur Landesgartenschau

    Unsere Rundgänge am Neckar zur Landesgartenschau Ende letzten Jahres sind auf großes Interesse gestoßen. Für alle, die bei den Terminen mit OB Dr. Christian Ruf und Vertretern des Regierungspräsidiums nicht…

    7. Februar 2023
  • 3. Februar 2023

    Das gemeinsame Ziel: mehr Lebensqualität für die Innenstadt

    Auf großes Interesse ist das erste Quartiersgespräch in der historischen Innenstadt gestoßen. Rund 150 Bürgerinnen und Bürger aus dem Lorenz-, Johannser- und Sprengerort sind in den „Kapuziner“ gekommen, um gemeinsam…

    3. Februar 2023
  • 21. Dezember 2022

    Rottweil und Schaffhausen vernetzen sich

    Rottweil und Schaffhausen haben einen Städtedialog rund um das Thema Klimaschutz und nachhaltige Entwicklung gestartet. Eine Rottweiler Delegation um Rudolf Mager, Fachbereichsleiter Bauen und Stadtentwicklung, und Erik Fiss, Fachbereichsleiter Hochbau…

    21. Dezember 2022
  • 13. Dezember 2022

    Historische Innenstadt: Quartiersgespräche starten im neuen Jahr

    Die Zukunft der historischen Innenstadt steht im Mittelpunkt der Quartiersgespräche, die im neuen Jahr starten. Die Stadtverwaltung lädt dazu Quartiersbewohner, Gewerbetreibende und Eigentümer der Gebäude sowie weitere Engagierte und Interessierte…

    13. Dezember 2022
  • 28. November 2022

    Bürgerrundgang Landesgartenschau: Zusatztermin aufgrund starker Nachfrage

    Auf großes Interesse stoßen die Bürgerrundgänge von Stadt, Regierungspräsidium und den beteiligten Planungsbüros zur geplanten Revitalisierung des Neckars im Zuge der Landesgartenschau. Die notwendige Verlegung des vorhandenen Hochwassermesspegels auf Höhe…

    28. November 2022
  • 25. November 2022

    Stadtteil „In der Au“ profitiert von der Landesgartenschau

    Das Sanierungsgebiet „In der Au“ stand im Mittepunkt einer Infoveranstaltung für Eigentümer im Kapuziner. Dabei stellte die Stadt Rottweil den Planungsstand und das städtebauliche Neuordnungskonzept vor. Das Sanierungsgebiet befindet sich…

    25. November 2022
  • 9. November 2022

    Stadt und Land informieren über Neckarrevitalisierung

    Auf Rundgängen durch das Kerngebiet der Landesgartenschau können sich Bürgerinnen und Bürger über den Stand der Planungen informieren. Unlängst ließen sich rund 40 Interessierte von Bürgermeister Dr. Christian Ruf und…

    9. November 2022
  • 28. Oktober 2022

    Fragen und Anregungen zur Revitalisierung des Neckars

    Das Regierungspräsidium Freiburg plant, die Gewässerstruktur des Neckars im Bereich des künftigen Landesgartenschaugeländes in Rottweil auf einer Länge von zwei Kilometern zu verbessern. Dabei soll der Fluss auch für Fische…

    28. Oktober 2022
  • 25. Oktober 2022

    Regierungspräsidium und Stadt Rottweil informieren zur Revitalisierung des Neckars

    Die Stadt Rottweil stellt zusammen mit dem Regierungspräsidium Freiburg die nächsten Schritte zur Revitalisierung des Neckars vor. Der kostenlose Rundgang durch das LGS-Kerngebiet findet am Freitag, 28. Oktober um 14…

    25. Oktober 2022
  • 12. Oktober 2022

    Testlauf: „Nimm Platz“ auf dem Friedrichsplatz 😊!

    Einen Vorgeschmack auf eine verkehrsberuhigte Innenstadt bekommen Rottweils Bürgerinnen und Bürger sowie Gäste am Samstag, 22. und Sonntag, 23. Oktober: Unter dem Motto „Nimm Platz“ wird der Friedrichsplatz testweise zur…

    12. Oktober 2022
  • 22. August 2022

    LEADER Projekt „Brücken schlagen – Zeitreise Rottweil“ abgeschlossen

    Die Verbindung zwischen Testturm und Innenstadt schickt Rottweils Gäste auf Zeitreise

    22. August 2022
  • 22. August 2022

    Segelschiff geht in der Unteren Hauptstraße vor Anker

    „Platzhalter“ heißt ein neues Projekt, mit dem Forum Kunst und die Stadt Rottweil mehr Lebensqualität in die historischen Innenstadt bringen wollen. Zeitweise werden dazu Stellplätze und Straßenflächen mit Kunstwerken „besetzt“.…

    22. August 2022
  • 28. Juli 2022

    Landesgartenschau macht neugierig

    Wie wird die Landesgartenschau 2028 aussehen? Wo gibt es Attraktionen für junge Leute? Wann beginnen die Bauarbeiten? Bei der Präsentation der Planungen in der Mensa löcherten zahlreiche Schülerinnen und Schüler…

    28. Juli 2022
  • 30. Mai 2022

    Dokumentation Wettbewerb

    Die Stadt Rottweil dokumentiert hier im Laufe der kommenden Tage die erfolgreichen Wettbewerbsentwürfe des landschaftsarchitektonischen Wettbewerbs. Gezeigt werden die Entwürfe der vier bestplatzierten Büros (1) A24 Landschaft, Berlin, (2) ver.de…

    30. Mai 2022
  • 30. Mai 2022

    Roßwasen-Haus öffnet seine Pforten

    Die Rottweiler Umweltgruppen von Lokaler Agenda, NABU und BUND haben mit den Verantwortlichen von Stadt und Gemeinderat den Einzug ins neue Domizil im Roßwasenweg gefeiert.

    30. Mai 2022
  • 25. Mai 2022

    Neues Angebot für die Garten-Community

    Das seit sechs Wochen bestehende Tauschregal wurde positiv angenommen und lockt immer wieder neue Kundschaft in die Bücherei-Räumlichkeiten. Neben dem bisherigen „Sortiment“ an Tauschgegenständen, gibt es nun neu auch ein…

    25. Mai 2022
  • 23. Mai 2022

    Architekturbüro erklärt seinen Sieger-Entwurf

    Der Architekt des siegreichen Entwurfs für die Landesgartenschau 2028 hat seine Pläne am Mittwoch, 11. Mai, sowohl der Presse als auch interessierten Bürgerinnen und Bürgern vorgestellt. Dipl.-Ing. Jan Grimmek erklärte…

    23. Mai 2022
  • 23. Mai 2022

    Landesgartenschau: Pläne wecken die Neugier von über 1000 Besuchern

    Auf großes Interesse ist die Ausstellung zur Landesgartenschau 2028 in der Stadthalle Rottweil gestoßen. Zwei Wochen lang waren dort sämtliche Beiträge des landschaftsarchitektonischen Wettbewerbs ausgestellt, den das Berliner Büro A24…

    23. Mai 2022
  • 18. Mai 2022

    Dem Erfolgsrezept auf der Spur

    Eine Delegation der Stadtverwaltung Rottweil mit OB Ralf Broß an der Spitze ist zum Erfahrungsaustausch nach Wangen gereist. Dort geht die Landesgartenschau 2024 über die Bühne.

    18. Mai 2022
  • 18. Mai 2022

    Großes Interesse am Tag der Städtebauförderung

    Über 100 Rottweiler Bürgerinnen und Bürger haben am Tag der Städtebauförderung an Führungen durch sanierte Gebäude in der Stadtmitte teilgenommen. Neben geschichtlichen Hintergründen zu den vorgestellten Gebäuden wurde der Verlauf…

    18. Mai 2022
  • 10. Mai 2022

    Einblicke in die Sanierungsgebiete „Stadtmitte“ und „In der Au“

    Beim bundesweiten „Tag der Städtebauförderung“ am Samstag, 14. Mai, sind Städte und Gemeinden dazu aufgerufen, beispielhafte Sanierungsprojekte vorzustellen. Die Stadt Rottweil beteiligt sich mit den Sanierungsgebieten „Stadtmitte“ und „In der…

    10. Mai 2022
  • 7. Mai 2022

    Landesgartenschau 2028 in Rottweil: Preisgericht entscheidet sich für A24 Landschaft

    Der Wettbewerb des freiraumplanerischen Realisierungswettbewerbs zur Gestaltung des Kerngebiets der Landesgartenschau 2028 ist abgeschlossen. Die 15 Preisrichter wählten aus 25 Entwurfskonzepten den Siegerentwurf. Das Rennen machte am Ende das Büro…

    7. Mai 2022
  • 3. Mai 2022

    Landesgartenschau: Jury kürt Siegerentwurf

    Ein Preisgericht entscheidet am Freitag, 6. Mai, über die Gestaltung des Kerngebiets der Landesgartenschau 2028 in Rottweil. Die Stadt Rottweil hatte einen europaweiten landschaftsarchitektonischen Wettbewerb ausgelobt. Der Siegerentwurf und die…

    3. Mai 2022
  • 2. Mai 2022

    Modellkommune Rottweil im Netzwerk „KlimaMobil“

    In der Gemeinderatsitzung am Mittwoch, 27. April, setzten die Verantwortlichen durch den Abschlussbericht einen vorläufiger Schlusspunkt hinter die Zusammenarbeit mit dem Kompetenznetzwerk KlimaMobil. Rottweil hatte sich 2020 beworben und wurde…

    2. Mai 2022
  • 12. April 2022

    Vom Neckar-Kanal zum Lebensraum für Natur und Mensch

    Die Landesgartenschau bietet die einmalige Chance, den kanalisierten Neckar unterhalb der historischen Innenstadt auf gut zwei Kilometern Länge zu renaturieren. Dazu muss eine Pegel-Station verlegt und das Kraftwerk der ENRW…

    12. April 2022
  • 25. März 2022

    Licht aus für einen friedlichen und lebendigen Planeten!

    Rottweil beteiligt sich wieder an der „Earth Hour“ des Word Wide Fund For Nature (WWF) am Samstag, 26. März. Bekannte Bauwerke stehen weltweit auch in diesem Jahr wieder in symbolischer…

    25. März 2022
  • 25. Februar 2022

    Der Kapellenturm wird eingerüstet

    Vor der Kapellenkirche stapelt sich viel Gerüstmaterial. Mit dem Aufbau eines Gerüsts am Turm wurde bereits begonnen. Sobald die Turminstandsetzung abgeschlossen ist, wird das Turmgerüst abgebaut und das Schiff und…

    25. Februar 2022
  • 19. Januar 2022

    Stadt schließt Vereinbarung mit dem Land zur Neckar-Revitalisierung

    Der Neckar hat von Beginn an in der Bewerbung zur Landesgartenschau (LGS) eine tragende Rolle gespielt. Im LGS-Rahmenplan konnten die ersten Überlegungen präzisiert werden. Die notwendige Verlegung des vorhandenen Hochwassermesspegels…

    19. Januar 2022
  • 15. Dezember 2021

    Mobilitätskonzept – Arbeitsrunden mit Interessengruppen – Antworten sind online

    In der Einwohnerversammlung am 25. Oktober2021 und danach gingen 200 Fragen bei der Stadtverwaltung ein. Ab heute sind die Antworten auf der Homepage der Stadt online.

    15. Dezember 2021
  • 3. Dezember 2021

    Wettbewerb für Landesgartenschau-Kerngebiet startet

    Einstimmig hat der Gemeinderat der Stadt Rottweil den landschaftsarchitektonischen Wettbewerb für das Kerngebiet der Landesgartenschau 2028 in Rottweil auf den Weg gebracht. Die Wettbewerbsunterlagen sind ab dem 2. Dezember öffentlich…

    3. Dezember 2021
  • 11. November 2021

    Bäume lassen die Hochbrücktorstraße ergrünen

    Ein kleiner Vorgeschmack auf das Landesgartenschau-Jahr 2028: Mit Unterstützung des EU-Förderprogramms LEADER Oberer Neckar pflanzt die Stadt Rottweil fünf Bäume in der Hochbrücktorstraße. Und zwar oberirdisch, in Pflanztrögen.

    11. November 2021
  • 25. Oktober 2021

    Doku Einwohnerversammlung Mobilitätskonzept

    Sie finden hier eine Doku der Einwohnerversammlung und weitere Informationen.

    25. Oktober 2021
  • 25. Oktober 2021

    Verkehrsfreigabe: Neue Brücke bei Spittelmühle ist fertig

    Die neue Brücke bei der Spittelmühle wird am Montagnachmittag, 25. Oktober, für den Verkehr frei gegeben. Sie ersetzt einen Vorgängerbau, der noch zu Zeiten der Pulverfabrik errichtet worden war. Der…

    25. Oktober 2021
  • 22. Oktober 2021

    Stadt Rottweil präsentiert Parkhaus-Pläne

    Im dritten und abschließenden Teil unserer Serie zum Mobilitätskonzept stellt die Stadt Rottweil das geplante Parkhaus am Nägelesgraben vor. Das Parkhaus soll auf dem bisherigen Parkplatz für Touristenbusse entstehen. In…

    22. Oktober 2021
  • 20. Oktober 2021

    ÖPNV stärken: Zentraler Umsteigepunkt (ZUP) im Nägelesgraben

    Im zweiten Teil unserer Serie über das Mobilitätskonzept der Stadt Rottweil geht es um den Zentralen Umsteigepunkt (ZUP) für Busse. Dieser soll vom Friedrichsplatz an den Nägelegraben verlagert werden. Die…

    20. Oktober 2021
  • 20. Oktober 2021

    Ergebnisse der Bürgeranregungen „Bring es auf den Punkt“

    „Bring es auf den Punkt“ war das Motto der Bürgerbeteiligung zur Landesgartenschau. Zahlreiche Ideen wanderten auf die grüne Aktionswand der Stadt, nun wurden die Bürgeranregungen ausgewertet und in einer Tabelle…

    20. Oktober 2021
  • 19. Oktober 2021

    Friedrichsplatz: vom Busbahnhof zur Stadt-Plaza

    In einer dreiteiligen Artikelserie im Vorfeld der Einwohnerversammlung am 25. Oktober stellt die Stadt Rottweil wichtige Eckpunkte ihres Mobilitätskonzepts vor. Zum Auftakt liegt der Schwerpunkt auf dem Friedrichplatz. Bislang ist…

    19. Oktober 2021
  • 15. Oktober 2021

    Einwohnerversammlung Mobilitätskonzept

    Auf Beschluss des Gemeinderats lädt die Stadtverwaltung Rottweil am Montag, 25. Oktober, zu einer Einwohnerversammlung in der Stadt- und Stallhalle ein. Thema ist das Mobilitätskonzept der Stadt Rottweil mit den…

    15. Oktober 2021
  • 1. Oktober 2021

    Das Alte Kaufhaus erstrahlt in neuem Glanz

    Das Alte Kaufhaus am Friedrichsplatz und der benachbarte Bürgersaal sind Schmuckstücke im historischen Stadtkern. Die Stadt Rottweil hat die denkmalgeschützten Gebäude seit 2019 aufwändig saniert. Jetzt erstrahlen sie wieder in…

    1. Oktober 2021
  • 22. September 2021

    Landesgartenschau: Bürgervertreter für Wettbewerb gesucht

    Für die Landesgartenschau 2028 lobt die Stadt Rottweil einen Architektenwettbewerb aus. Gegenstand ist das Kerngebiet im Neckartal unterhalb der historischen Innenstadt und der Neckar bis zur Primmündung. Im Preisgericht sind…

    22. September 2021
  • 8. September 2021

    „Jede Tat zählt“ – Rottweil wirbt für Ökologie und Klimaschutz

    Unter dem Aktionsmotto „Jede Tat zählt“ beteiligt sich Rottweil an den Nachhaltigkeitstagen des Landes Baden-Württemberg. Ob Wasserkraft, Erholung vor der eigenen Haustüre oder nachhaltiges Gärtnern: Gemeinsam mit Partnern aus der…

    8. September 2021
  • 6. August 2021

    „Charger-Cube“ macht fürs Klima mobil

    Im Zuge ihres Mobilitätskonzepts hat die Stadt Rottweil eine Ladestation für E-Bikes in der Hochbrücktorstraße aufgestellt. Der sogenannte „Charger Cube“ soll als Beitrag zur Mobilitätswende das Radfahren in Rottweiler noch…

    6. August 2021
  • 19. Juli 2021

    Musikschule unterstützt Region auf der Landesgartenschau

    Die Landesgartenschau in Überlingen steht am Dienstag, 20. Juli, im Zeichen der Region Schwarzwald-Baar-Heuberg. Musikschulen der Region werden zusammen mit Studierenden der Musikhochschule Trossingen auf der Landesgartenschau musizieren. Mit dabei…

    19. Juli 2021
  • 7. Juli 2021

    Eindrucksvoller Brückenschlag im Neckartal

    Es geht voran auf der Brückenbaustelle bei der Spittelmühle: Mittlerweile ist der sogenannte Überbau fertig betoniert, die Verbindung der beiden Ufer damit hergestellt. Die neue Brücke ist übrigens Teil der…

    7. Juli 2021
  • 22. Juni 2021

    Verknüpfung von Stadt und Gartenschau beeindruckt

    Eine Abordnung der Rottweiler Stadtverwaltung mit Bürgermeister Dr. Christian Ruf an der Spitze hat sich ein Bild von der Landesgartenschau Überlingen gemacht. Ziel: Anregungen und Erkenntnisse gewinnen für das eigenen…

    22. Juni 2021
  • 28. Mai 2021

    Nach Online-Bürgerinfo: Stadt beantwortet alle Fragen

    Über 300 Interessierte haben die Online-Bürgerinformation der Stadtverwaltung zur Landesgartenschau Anfang Mai verfolgt. Die Fragen waren so zahlreich, dass sie nicht allesamt während der Live-Übertragung aus dem Rathaus beantwortet werden…

    28. Mai 2021
  • 10. Mai 2021

    Über 300 Bürger nutzen Online-Info zum Rahmenplan

    Noch ist 2028, das Jahr der Rottweiler Landesgartenschau, gefühlt weit weg. Und doch ist die Stadt Rottweil, samt der engagierten Bürger und Bürgervereine, mittendrin in Überlegungen und Planungen für das…

    10. Mai 2021
  • 10. Mai 2021

    Online-Bürgerinfo Landesgartenschau

    Über 300 Bürgerinnen und Bürger haben an der Info zur Landesgartenschau teilgenommen.

    10. Mai 2021
  • 6. Mai 2021

    Filme bieten Einblick in Sanierung original Rottweiler Stadthäuser

    Die Sanierungsstelle der Stadt Rottweil veröffentlicht einen Videoguide durch das Sanierungsgebiet „Stadtmitte“. Anlass ist der Tag der Städtebauförderung am Samstag, 8. Mai. Der digitale Führer bietet Einblicke hinter die historischen…

    6. Mai 2021
  • 28. April 2021

    Online-Bürgerinfo zur Landesgartenschau

    Die Landesgartenschau 2028 in Rottweil ist Thema der ersten städtischen Online-Bürgerinfo am Freitag, 7. Mai. Ab 19 Uhr können alle Interessierten die Präsentation des Rahmenplans live per Zoom-Videokonferenz im Internet…

    28. April 2021
  • 24. April 2021

    Rahmenplan zur Landesgartenschau entsteht

    Als Grundlage für einen europaweiten Wettbewerb zur Landesgartenschau 2028 erarbeitet die Stadt Rottweil derzeit einen Rahmenplan. Bürgerschaft und Gemeinderat werden in den Planungsprozess umfassend einbezogen. Der Wettbewerb soll im Herbst…

    24. April 2021
  • 23. April 2021

    Bundesumweltministerium fördert klimafreundliche Ampel-Beleuchtung in Rottweil

    Die Stadt Rottweil hat bis Ende letzten Jahres Ampelanlagen an 15 Standorten auf hocheffiziente LED-Technik umgerüstet. Das Bundesumweltministerium hat bei den Kosten rund 60.000 Euro über die Nationale Klimaschutzinitiative (NKI)…

    23. April 2021
  • Das Gelände für die Landesgartenschau

    19. April 2021

    Online-Bürgerinfo zur Landesgartenschau

    Die Landesgartenschau Rottweil ist am kommenden Mittwoch, 21. April, Thema der öffentlichen Sitzung des Gemeinderats. Ergänzend dazu bietet die Stadtverwaltung am Freitag, 7. Mai eine Bürgerinfo im Internet an. Wegen…

    19. April 2021
  • Skyline von rottweil in der Abenddämmerung

    25. März 2021

    Am Samstag: Licht aus – Klimaschutz an

    Weltweit stimmen Menschen, Städte und Unternehmen während der Earth Hour 2021 für mehr Klimaschutz. Sie schalten während der Aktion des World Wide Fund For Nature (WWF) am Samstag, 27. März,…

    25. März 2021
  • Ein neuer Flyer der Stadtverwaltung, der in Zusammenarbeit mit Lokaler Agenda, NABU und BUND und entstanden ist, gibt nützliche Tipps zum Klimaschutz

    24. März 2021

    Neuer Flyer: „Hilfe, ich habe einen Garten!“

    Wer einen Garten hat, kann aktiv etwas gegen das Insektensterben und den Klimawandel tun. Wie, das erklärt ein neuer Flyer der Stadtverwaltung Rottweil, der in Zusammenarbeit mit dem Arbeitskreis Umwelt…

    24. März 2021
  • Visualisierung vom Neubau des ENRW-Gebäudes

    1. März 2021

    ENRW präsentiert erste Pläne vom Neubau in Neufra

    Die Neubau-Pläne der Energieversorgung Rottweil (ENRW) im Industriegebiet des Teilorts Neufra werden konkreter. Während von städtischer Seite an den erforderlichen Voraussetzungen in Bebauungs- und Flächennutzungsplan gearbeitet wird, präsentierte die Geschäftsführung…

    1. März 2021
  • Das Archiv-Bild entstand bei einem Vor-Ort-Termin zur Landesgartenschau im historischen Schienenbus der Eisenbahnfreunde Zollernbahn im Rottweiler Bahnhof

    25. Februar 2021

    OB Ralf Broß: Bahnlinie Rottweil – Balingen hat Zukunft

    Die Stadt Rottweil unterstützt eine Machbarkeitsstudie für eine mögliche Reaktivierung der Bahnstrecke Rottweil – Balingen. Zuvor hatte eine Studie im Auftrag der Landes der Strecke bereits ein „hohes Nachfragepotenzial“ bescheinigt.…

    25. Februar 2021
  • 25. November 2020

    Wie Laubberge und Grünschnitt zu nährstoffreichem Boden werden

    Rottweil ist nicht nur reich an städtischen Grünflächen, sondern auch an unendlichen Mengen Laub und Grünschnitt, die für teures Geld entsorgt werden müssen. „Das muss nicht sein“, sagte sich Albert…

    25. November 2020
  • Alternativ Text

    17. November 2020

    1000 Stieleichen und Co. als Beitrag zum Klimaschutz

    „1000 Bäume für 1000 Kommunen“ ist die Klimaschutzaktion des baden-württembergischen Gemeindetags überschrieben, an der sich auch die Forstverwaltung der Stadt Rottweil beteiligt. Derzeit wird eine etwa ein Hektar große Fläche…

    17. November 2020
  • 16. Oktober 2020

    Bürgerinfo: OB Ralf Broß stellt Rahmenplan vor

    Oberbürgermeister Ralf Broß hat am Dienstag, 13. Oktober, im Rahmen einer Bürgerinformation in der Stadthalle den Planungsstand zur Landesgartenschau 2028 vorgestellt. Die Veranstaltung fand wegen der Corona-Pandemie unter strengen Hygiene-Auflagen…

    16. Oktober 2020
  • 30. September 2020

    Bürgerinfo Landesgartenschau in der Stadthalle

    2028 findet in Rottweil unter dem Motto Höher.Grüner.Weiter. die Landesgartenschau statt. Die nächsten Jahre werden daher ein spannender Prozess in der Stadtentwicklung Rottweils. Die Stadt Rottweil informiert am Dienstag, 13.…

    30. September 2020
  • 23. September 2020

    Rottweil wird Modellkommune im Netzwerk „Klima Mobil“

    Aus allen vier Regierungsbezirken in Baden-Württemberg hat Verkehrsminister Winfried Hermann, MdL, Vertreterinnen und Vertreter der 15 Modellkommunen des Kompetenznetz Klima Mobil im Hospitalhof in Stuttgart begrüßt, darunter auch Bürgermeister Dr.…

    23. September 2020
  • 22. September 2020

    Gemeinsam auf Ideensuche

    „Von guten Konzepten lernen.“ Unter diesem Motto machten sich Mitglieder der städtischen Wirtschaftsförderung und  der Projektgruppe zur Landesgartenschau 2028 auf den Weg zu einem Fortbildungstag nach Nagold. Begleitet wurden sie…

    22. September 2020
  • 22. September 2020

    Baustellentour 2020

    Der Rottweiler Gemeinderat hat sich auf seiner jährlichen Tour über die Rottweiler Baustellen ein Bild vom Stand der Arbeiten gemacht. Stationen waren das geplante Parkhaus Zentrum, das DHG, der Kindergarten…

    22. September 2020
  • 5. August 2020

    Rahmenplan für Landesgartenschau vorgestellt

    Einstimmig hat der Gemeinderat in seiner letzten Sitzung vor der Sommerpause den Rahmenplan für die Landesgartenschau auf den Weg gebracht. Der Plan ist die Grundlage für den 2021 anstehenden europaweiten…

    5. August 2020
  • 31. Juli 2020

    Berland: Bürger, Stadt und ENRW diskutieren vor Ort

    Im Rahmen einer öffentlichen Ortschaftsratssitzung haben Stadt, Energieversorgung Rottweil (ENRW) und Bürger vor Ort über die geplante Ansiedlung der ENRW im Neufraer Gewerbegebiet „Berland“ diskutiert. Rund 100 Bürgerinnen und Bürger…

    31. Juli 2020
  • 16. Juli 2020

    800.000 Euro Städtebauförderung für Rottweil

    Die Stadt Rottweil wird für das Erneuerungsgebiet "In der Au" mit einem Förderbetrag von 800.000 Euro über die Städtebauförderung des Landes Baden-Württemberg unterstützt. "Dafür sind wir sehr dankbar", berichtet Rottweils…

    16. Juli 2020
  • 10. Juli 2020

    Grünes Licht für Innenstadt-Management Stadtmitte

    Das neue Quartiersmanagement von Stadt und Gewerbe- und Handelsverein (GHV) Rottweil wird mit 99.600 Euro aus dem nichtinvestiven Städtebauförderungsprogramm des Landes unterstützt. Das teilte Wirtschaftsministerin Nicole Hoffmeister-Kraut heute in einer…

    10. Juli 2020
  • 30. April 2020

    ENRW verlagert Unternehmensstandort nach Neufra

    Die Energieversorgung Rottweil (ENRW) verlagert ihren Unternehmensstandort ins Gewerbegebiet des Rottweiler Ortsteils Neufra. Damit wird das bisherige Gelände In der Au im Rottweiler Neckartal frei für die dort geplante Landesgartenschau…

    30. April 2020
  • 7. April 2020

    Am Nägelesgraben blüht‘s für Bienen, Hummeln & Co

    Im Zuge des Projektes „Natur nah dran“ haben Albert Schmidt und seine Mitarbeiter vom Tiefbauamt der Stadt Rottweil in Zusammenarbeit mit dem NABU Rasenflächen am Nägelesgraben umgestaltet und artenreiche Wildpflanzen…

    7. April 2020
  • 29. November 2019

    Bürgerschaft zeigt sich kreativ und ideenreich

    Rund 140 Bürgerinnen und Bürger haben sich am Montag, 25. November, am Workshop zur Landesgartenschau in der Stadthalle beteiligt. Im Mittelpunkt standen die sogenannte Daueranlagen – also die Maßnahmen, die…

    29. November 2019
  • 21. November 2019

    Mobilitätskonzept Rottweil

    Zum künftigen Mobilitätskonzept der Stadt Rottweil hat der Gemeinderat in seiner Sitzung vom 20. November wichtige Grundsatzbeschlüsse gefasst. So soll ein neues Parkkonzept und ein dynamisches Parkleitsystem auf den Weg…

    21. November 2019
  • 14. November 2019

    Landesgartenschau 2028: Auftakt zur Bürgerbeteiligung

    „Landesgartenschau 2028 Gemeinsam. Weiter. Denken.“ lautet das Motto am Montag, 25. November, in der Stadthalle. Im Rahmen eines Bürgerworkshops möchte die Stadtverwaltung die Einwohnerschaft Rottweils über den aktuellen Stand der…

    14. November 2019
  • 11. November 2019

    Start der Bürgerbeteiligung zur Landesgartenschau

    Die Stadt Rottweil lädt am Montag, 25. November, zu einem Bürgerworkshop für die Landesgartenschau 2028 ein. Ziel ist es, die Einwohnerschaft Rottweils bei der Gestaltung des Geländes einzubeziehen. Beginn ist…

    11. November 2019
  • 2. Oktober 2019

    Stadt gibt Tipps gegen Schotterwüsten

    Schotterwüste vermeiden und Biodiversität in Privatgärten fördern: dazu möchte die Stadt Rottweil ihre Bürgerinnen und Bürger motivieren. Bei einem Rundgang entlang der umgestalteten Grünflächen im Bockshof und im Nägelesgraben gab…

    2. Oktober 2019
  • 28. September 2019

    Impressionen Bürgertreff in der Altstadt

    „Altstadt.Gemeinsam.Neu.Gestalten“ - unter diesem Motto fand am Freitag, 27. September, der „Bürgertreff Altstadt“ statt. Bürgerinnen und Bürger konnten sich in die Römerschule über das Projekt „Quartier 2020“ informieren und sich…

    28. September 2019
  • 27. September 2019

    Pflanzaktion mit „Natur nah dran“ in Rottweil:
    Stadt und NABU für biologische Vielfalt

    Rund 40 Mitarbeiterinnen und Mitarbeiter aus Rottweil und sechs anderen „Natur nah dran“-Kommunen haben mehrere Flächen in Rottweil mit Wildpflanzen bestückt. Damit startet die Bepflanzung von sechs städtischen Flächen, die…

    27. September 2019
  • 24. September 2019

    „Gartenschauen sind Speerspitze der Stadtentwicklung“

    Mit zahlreichen Anregungen und Ideen für Rottweil ist eine Gruppe um Oberbürgermeister Ralf Broß und Bürgermeister Dr. Christian Ruf von der Bundesgartenschau (BUGA) Heilbronn zurückgekehrt. Wichtigste Erkenntnis: Gartenschauen sind Motoren…

    24. September 2019
  • 19. September 2019

    Gemeinderat besichtigt LGS-Gelände

    Bei seiner jährlichen Baustellentour hat sich der Rottweiler Gemeinderat auch vor Ort ein Bild vom Gelände der Landesgartenschau gemacht. Schwerpunkt des Besuchs war das Areal der ENRW, der Bereich um…

    19. September 2019
  • 19. September 2019

    Neue Grillstelle gibt Vorgeschmack auf Landesgartenschau

    Bis die Landesgartenschau im Jahr 2028 in Rottweil ihre Pforten öffnet, ist es zwar noch eine ganze Weile hin, einen kleinen Vorgeschmack, wie es künftig am geplanten „Neckarstrand“ aussehen könnte,…

    19. September 2019
  • 18. September 2019

    E-Mobil-Rallye in Rottweil zu Gast

    Im Rahmen der WAVE Trophy (World Advanced Vehicle Expedition) fahren 50 Elektro-Fahrzeuge in acht Tagen quer durch die Republik, um zu zeigen, dass Elektromobilität schon heute alltagstauglich ist. Bürgermeister Dr.…

    18. September 2019
  • 9. September 2019

    Für mehr blühende Vielfalt: Umwandlung von sechs Flächen in Rottweil beginnt

    Ab Montag, 09.09.2019 werden die im Rahmen des Projekts „Natur nah dran“ ausgewählten Flächen vorbereitet. Das bedeutet, dass die Grünflächen, die in blühende Blumenwiesen und Wildstaudenflächen umgewandelt werden sollen, zum…

    9. September 2019
  • 8. September 2019

    Wenn Städte aufblühen

    Gartenschauen sind eine Erfolgsgeschichte. 2019 gibt es erstmals zwei große Schauen in Baden-Württemberg: die Bundesgartenschau in Heilbronn und die Remstal-Gartenschau.

    8. September 2019
  • 7. August 2019

    Stadt Rottweil nimmt erstes E-Auto in Betrieb

    Abgasfreie Dienstfahrten ermöglicht ein neues Elektro-Auto bei der Stadtverwaltung Rottweil. Der Renault Zoe Life mit einer Reichweite von 300 bis 350 Kilometer wurde Anfang August in Betrieb genommen.

    7. August 2019
  • 26. Juli 2019

    Rottweil gemeinsam weiter denken!

    Testturm, Hängebrücke, Gartenschau – und was dann? Wie soll Rottweil in 10 Jahren aussehen? Mit diesen Fragen befassten sich am Donnerstag, 25. Juli, rund 200 Bürgerinnen und Bürger, die auf…

    26. Juli 2019
  • Rottweil gemeinsam weiter denken“: Oberbürgermeister Ralf Broß (links) und Bürgermeister Dr. Christian Ruf (rechts) laden die Bürgerinnen und Bürger zu einem kreativen Workshop in die Stadthalle ein (Foto: Stadt Rottweil).

    22. Juli 2019

    Rottweil gemeinsam weiter denken!

    Testturm, Hängebrücke, Landesgartenschau – und was dann? Wie soll Rottweil in 10 Jahren aussehen? Antworten wird das Gesamtstädtische Entwicklungskonzept (GEK) geben, das die Stadtverwaltung gemeinsam mit den Bürgerinnen und Bürgern…

    22. Juli 2019
  • 17. April 2019

    Mittelfristiger Zeitplan zur Landesgartenschau vorgestellt

    Die Stadtverwaltung Rottweil hat dem Gemeinderat den mittelfristigen Zeitplan zur Umsetzung der Landesgartenschau vorgestellt. Als nächstes gilt es, den „Rahmenplan Grün“ zu entwickeln. Dieser ist Grundlage für den Wettbewerb zur…

    17. April 2019
  • 16. April 2019

    Stadt pflanzt „Baum des Jahres“ 2019

    Bürgermeister Dr. Christian Ruf und Kurt Faupel, zuständig für die städtischen Grünflächen, haben den „Baum des Jahres“ 2019 gepflanzt. Dabei handelt es sich um eine „Flatterulme“, die in unserer Region…

    16. April 2019
  • 29. März 2019

    Stadtputzete in Rottweil

    So viel Müll, das schaffen wir nie. So die spontane Feststellung eines Schülers der Konrad-Witz-Schule vom vergangenen Samstag. Das Bürgerforum Perspektiven Rottweil hatte zur dritten „Stadtputzete“ geladen und viele sind…

    29. März 2019
  • 29. März 2019

    Stadt Rottweil beteiligt sich an „Earth Hour“

    Die Stadt Rottweil beteiligt sich am Samstag, 30. März, an der „Earth Hour“ des WWF (World Wide Fund For Nature). Im Rahmen der weltweiten Aktion unter dem Motto „für einen…

    29. März 2019
  • 20. März 2019

    Rottweil mit Förderprojekt „Natur nah dran“ ausgezeichnet

    Erfolgreich beworben: Für das Förderprojekt „Natur nah dran“ konnte sich die Stadt Rottweil einen der begehrten Plätze für 2019 sichern. Die Stadt wird nun, zusammen mit dem NABU und gefördert…

    20. März 2019
  • 19. März 2019

    Mobilität der Zukunft – was geht? – Vortrag und Diskussion mit Karlsruher Verkehrsforscher

    Unter dem Titel „Mobilität der Zukunft – was geht?“ steht ein Vortrag mit anschließender Diskussion am Dienstag, 2. April, um 19.30 Uhr im Refektorium im ehemaligen Kapuzinerkloster in Rottweil. Referent…

    19. März 2019
  • 19. März 2019

    ENRW kümmert sich um das Lebenselixier „Wasser“

    Wasser ist Leben. Der „Internationale Tag des Wassers“ am 22. März steht 2019 unter dem Motto „Niemand zurücklassen – Wasser und Sanitärversorgung für alle“. Damit möchten die Vereinten Nationen ins…

    19. März 2019
  • 21. Dezember 2018

    Dreher‘sche Mühle: Neckar fließt jetzt störungsfrei

    Der Neckar bei der Dreher’schen Mühle kann wieder ungehindert fließen. Die Bauarbeiten zum Rückbau der Wehranlagen und zur Renaturierung des Flussbettes sind abgeschlossen. Die Stadt hat damit eine Vorgabe der…

    21. Dezember 2018
  • 19. Dezember 2018

    Gemeinderat sagt Ja zur Landesgartenschau RW 2028

    Einstimmig hat der Rottweiler Gemeinderat in seiner letzten Sitzung im Jahr 2018 die Durchführung der Landesgartenschau 2028 beschlossen. Der Gemeinderat hatte sich bereits im Vorfeld der Bewerbung einhellig für die…

    19. Dezember 2018
  • 11. Dezember 2018

    Neckar wird für Fische durchlässig gemacht

    Ein erster Baustein für die Landesgartenschau 2028 ist bereits in Arbeit: Die Stadt Rottweil lässt den Neckar bei der Dreher’schen Mühle für Fische durchgängig machen und hat dazu ein altes…

    11. Dezember 2018
  • 7. Dezember 2018

    Rottweiler Kleingärtner kommen in Berlin groß raus

    Die Gartenfreunde Rottweil haben beim Bundeswettbewerb „Gärten im Städtebau“ Gold geholt. Die Auszeichnung verleihen die Bundesregierung und der Bundesverband der Gartenfreunde alle vier Jahre in Berlin. Gewürdigt werden besondere soziale,…

    7. Dezember 2018
  • 2. Oktober 2018

    Gemeinderat erkundet Landesgartenschau in Lahr

    Der Rottweiler Gemeinderat hat das Landesgartenschau-Gelände in Lahr besucht. Geschäftsführer Tobias de Haën führte die Gruppe, zu der auch Bürgermeister Dr. Christian Ruf und mehrere Ortsvorsteher gehörten, über das Ausstellungsgelände.…

    2. Oktober 2018
  • 28. September 2018

    Ministerin Hoffmeister-Kraut zeichnet kreative Köpfe aus

    Über 1000 Kreative aus der Hightech-Branche strömten am Mittwoch, 26. September, zum landesweiten Gipfeltreffen ins Rottweiler Kraftwerk. Wirtschaftsministerin Dr. Nicole Hoffmeister-Kraut vergab am Abend den begehrten CyberOne-Preis an besonders zukunftsträchtige…

    28. September 2018
  • 27. September 2018

    Seniorenreferat lädt zur Fahrt auf die Landesgartenschau ein

    Am Donnerstag, 11. Oktober lädt das Seniorenreferat der Stadt Rottweil zu einem Besuch der Landesgartenschau in Lahr ein. Die Reisegruppe nutzt die letzten Tage der Landesgartenschau in Lahr, auf der…

    27. September 2018
  • 26. September 2018

    Hightech-Gipfel im Kraftwerk

    Die Hightech-Branche des Landes Baden-Württemberg trifft sich am Mittwoch, 26. September, im Kraftwerk im Neckartal. Veranstalter des Technologiekongresses ist die Initiative Wirtschaft 4.0 des Wirtschaftsministeriums Baden-Württemberg. Am Abend verleiht Wirtschaftsministerin…

    26. September 2018
  • 23. September 2018

    Rottweiler Klimaschutz-Engagement ausgezeichnet

    Die Stadt Rottweil hat rund 2500 Straßenlaternen auf moderne LED-Leuchten umgerüstet. Das gelang mit Förderung durch die Bundesregierung. Die parlamentarische Staatssekretärin Rita Schwarzelühr-Sutter (SPD) im Bundesumweltministerium, überreichte dazu Rottweils Oberbürgermeister…

    23. September 2018
  • 21. September 2018

    Historische Brücken und Landesgartenschau

    Brücken standen beim Tag des offenen Denkmals im Mittelpunkt einer Führung mit dem Bauingenieur Patrick Mink. Die Führung streifte dabei mehrmals das Gelände der künftigen Landesgartenschau 2028.

    21. September 2018
  • 13. Juli 2018

    „Höher.Grüner.Bunter“: Stadt zeichnet Blütenpracht aus

    Der bunte Blumenschmuck in Rottweils historischer Innenstadt begeistert jedes Jahr Touristen wie Einheimische. Die Stadtverwaltung sowie der Gewerbe- und Handelsverein (GHV) bewerten auch dieses Jahr wieder die besten Beiträge der…

    13. Juli 2018
  • 12. Juli 2018

    Aktion: Wir tun was für Bienen, Hummeln & Co.

    Die Stadt Rottweil stärkt den Insektenschutz und die Artenvielfalt. Dazu werden Rasenflächen im Stadtgebiet in Wiesen umgewandelt. In Zusammenarbeit mit der Lokalen Agenda 21, NABU, BUND und den Gartenfreunden Rottweil…

    12. Juli 2018
  • 4. Juli 2018

    Landesgartenschau: Rottweil punktet mit Ideenreichtum

    Rottweil freut sich auf die Landesgartenschau 2028. Ein ganz wichtiger Bestandteil der Bewerbung war das Engagement der Bürgerinnen und Bürger. Die Stadt sammelte die Ideen im Rahmen der Aktion „Bring…

    4. Juli 2018
  • 3. Juli 2018

    Landesgartenschau 2028 kommt nach Rottweil

    In Ellwangen, Rottweil und Ulm finden in den Jahren 2026, 2028, und 2030 Landesgartenschauen statt. Gartenschauen sind 2027 und 2029 in Bad Urach und Vaihingen Enz. Das teilte das Land…

    3. Juli 2018
  • 3. Juli 2018

    KiJu-Sommer: Kinder erleben Natur

    Am Samstag, 7. Juli, beginnt der Restplätze-Verkauf für den KiJu-Sommer. Die Gemeinschaftsgärtnerinnen und –gärtner der Lokalen Agenda 21 sind dieses Jahr zum ersten Mal beim Sommerferienprogramm des Kinder- und Jugendreferats…

    3. Juli 2018
  • 27. Juni 2018

    Große Bühne nicht nur für Gartenbauer

    Wenn das Konzept stimmt und nachhaltig ist, dann kann eine Landesgartenschau sich auch Jahrzehnte später noch positiv auf eine Stadt auswirken. Das haben verschiedene Studien, unter anderem von der ift,…

    27. Juni 2018
  • 13. Juni 2018

    „starter“-Aussteller: Synergien durch Landesgartenschau

    Die Vorbereitungen für die zwölfte Auflage der zweitägigen „starter“-Ausbildungsmesse in der Stadt- und Stallhalle laufen auf Hochtouren. 90 namhafte Aussteller aus Industrie, Dienstleistung, Handel und Handwerk werden sich präsentieren. Das…

    13. Juni 2018
  • 11. Juni 2018

    Bildergalerie zur Sonnenblumenaktion

    Für unsere Landesgartenschau-Bewerbung haben wir 2028 Sonnenblumen am Testturm gepflanzt. Rund 200 Testturm-Besucher und Bürger aus Rottweil haben mitgeholfen. Die Aktion unterstützten unter anderem auch Bürgermeister Dr. Christian Ruf, Detlev…

    11. Juni 2018
  • 7. Juni 2018

    2028 Sonnenblumen blühen für die Landesgartenschau

    Die Stadt Rottweil lädt Besucher des Testturms und alle Bürger am Freitag, 8. Juni, zu einer gemeinsamen Pflanzaktion ein: Passend zum Bewerbungsmotto „Höher. Grüner. Weiter“ entsteht am Fuß des Testturms…

    7. Juni 2018
  • 9. Mai 2018

    Bürgerdialog Zukunft Stadtmuseum

    Beim Internationalen Museumstag und dem Tag der Städtebauförderung steht in Rottweil am Sonntag, 13. Mai, das Stadtmuseum im Mittelpunkt. Die Fachbereiche Kultur sowie Bauen und Stadtentwicklung laden dazu ein, über…

    9. Mai 2018
  • 8. Mai 2018

    Klimaschutz und Mobilität – wie passt das zusammen?

    Deutschland hat das Pariser Klimaschutzabkommen unterzeichnet und hat ehrgeizige CO2-Reduktionsziele formuliert. Gleichzeitig versteht sich Deutschland als „Autoland“ und die CO2-Emissionen des Verkehrssektors steigen. Ist eine weitere Zunahme der Mobilität mit…

    8. Mai 2018
  • 7. Mai 2018

    RW2028 auch auf Facebook zu finden

    Aufgrund der neuen Datenschutz-Grundverordnung finden Sie unsere eingebette Facebookseite nicht mehr auf dieser Seite. Unter diesem Link können Sie jedoch jederzeit RW2028 auf Facebook abrufen: Hier klicken! Außerdem können Sie über…

    7. Mai 2018
  • 4. Mai 2018

    Rottweil auf dem Weg zur digitalen Zukunftskommune

    Die Stadt Rottweil hat beim Wettbewerb „Digitale Zukunftskommune@bw“ eine Förderung in Höhe von 40.000 Euro gewonnen. Am Donnerstag überreichte Digitalisierungsminister Thomas Strobl die Urkunde an Oberbürgermeister Ralf Broß und Wirtschaftsförderer…

    4. Mai 2018
  • 4. Mai 2018

    Mobilitätslabor: Wie sich Rottweil in (die) Zukunft bewegt

    Zentraler Bestandteil der Rottweiler Landesgartenschau-Bewerbung sind innovative Verkehrslösungen. Zum Fortbewegungsmittel der Zukunft könnten sich autonom fahrende Bus-Shuttles entwickeln. Erste Gespräche führte die Stadtverwaltung dazu mit der Firma „e.GO Mobile“. Die…

    4. Mai 2018
  • 27. April 2018

    Bürgerdialog zur Agenda 2030

    Rottweils Zukunft nachhaltig gestalten: Die Ziele der Agenda 2030 standen im Mittelpunkt des Bürgerdialogs am Samstag, 21. April. Der Nachmittag bot den Besucherinnen und Besuchern einen passenden Rahmen für Information,…

    27. April 2018
  • 26. April 2018

    Rottweiler Musik-Festivals: so bunt wie die Landesgartenschau

    Dieser Tage startet mit dem Jazzfest die Rottweiler Festivalsaison. Es folgt das klassische Musikfestival Sommersprossen, die Konzertreihe in den Rottweiler Kirchen und der Rottweiler Ferienzauber. Wie kaum eine zweite Stadt…

    26. April 2018
  • 25. April 2018

    Imker und Stadt präsentieren: Landesgartenschau-Honig

    Unter dem Motto Höher. Grüner. Weiter. bewirbt sich Rottweil für die Landesgartenschau im Jahr 2028. Ein zentraler Bestandteil der Bewerbung ist der Gedanke der Nachhaltigkeit. Gemeinsam mit den Rottweiler Imkern…

    25. April 2018
  • 20. April 2018

    Trend- und Zukunftsforscher Matthias Horx referiert in der Stadthalle

    »Höher.Grüner.Weiter.« lautet Rottweils Motto zur Bewerbung für die Landesgartenschau 2028. Rottweil ist im Aufbruch. Mit Testturm, dem Bau der Hängebrücke und der Justizvollzugsanstalt sowie der Bewerbung um die Landesgartenschau, ist…

    20. April 2018
  • 19. April 2018

    Rottweil ist bereit für die Landesgartenschau

    Unter dem Motto „Höher.Grüner.Weiter“ führte eine Rottweiler Delegation mit Oberbürgermeister Ralf Broß an der Spitze die Fachkommission des Landes durch die Stadt und das Neckartal. Im Zuge der Landesgartenschau-Bewerbung nahmen…

    19. April 2018
  • 18. April 2018

    Aktion „Bring es auf den Punkt“ geht in die Schlussrunde

    Bei der Aktion „Bring es auf den Punkt“ können die Bürger ihre Ideen, Anregungen und Wünsche zur Landesgartenschau buchstäblich „auf den Punkt“ bringen. Dreimal besteht diese Woche noch die Möglichkeit,…

    18. April 2018
  • 18. April 2018

    Bürger sollen Rottweils Zukunft aktiv mitgestalten

    Wie wir im Jahr 2030 in Rottweil leben wollen, wie die Welt für unsere Kinder und Enkel aussehen könnte: Darum geht es bei der Bürgerdialog-Veranstaltung am 21. April im Kapuziner.…

    18. April 2018
  • 13. April 2018

    Video der Schüleraktion zur Landesgartenschau-Bewerbung

    Unter dem Motto „Höher. BUNTER. Weiter“ haben Rottweiler Schülerinnen und Schüler aller Altersstufen Gießkannen zur Landesgartenschau-Bewerbung gestaltet. Die Schulverwaltung hatte den Schulen dazu rund 500 Gießkannen zur Verfügung gestellt. Am…

    13. April 2018
  • 11. April 2018

    RW2028: Rottweil zeigt sich fröhlich, bunt und kreativ

    Unter dem Motto „Höher. BUNTER. Weiter“ haben Rottweiler Schülerinnen und Schüler aller Altersstufen Gießkannen zur Landesgartenschau-Bewerbung gestaltet. Die Schulverwaltung hatte den Schulen dazu rund 500 Gießkannen zur Verfügung gestellt. Am…

    11. April 2018
  • 4. April 2018

    Landesgartenschau soll alle Generationen ansprechen

    Die Wünsche und Anregungen für die Landesgartenschau, die im Jahr 2028 in Rottweil stattfinden könnte, kommen aus allen Generationen. Besonders erfreulich: Auch Jugendliche engagieren sich im Rahmen des Rottweiler Jugendhearings.…

    4. April 2018
  • 29. März 2018

    Internet-Auftritt der Lokalen Agenda zur Landegartenschau

    Die Arbeitskreise der Lokalen Agenda haben umfangreiche Ideen und Anregungen zur Landesgartenschau zusammengetragen. Die engagierten Agenda-Macher präsentieren das Material auf einer eigens dafür eingerichteten Seite.

    29. März 2018
  • 29. März 2018

    Agenda 2030: Bürger gestalten Rottweils Zukunft mit

    „Wie wollen wir im Jahr 2030 in Rottweil leben?“ – um diese Frage geht es bei dem Projekt Agenda 2030, in dessen Rahmen am Samstag, 21. April, eine Bürgerdialog-Veranstaltung im…

    29. März 2018
  • 28. März 2018

    Vortrag: „Rottweil 5.0 – wie die progressive Provinz die Zukunft erobert“

    Der Megatrend „Urbanisierung“ scheint auf den ersten Blick immer nur in Richtung der Metropolen zu wirken. Aber das ist ein Irrtum, sagt der Zukunftsforscher Matthias Horx. Am 19. April erklärt…

    28. März 2018
  • 27. März 2018

    Fotoaktion der Lokalen Agenda auf dem Wochenmarkt: „Ich freu‘ mich auf die Gartenschau!“

    Am Samstag fand die zweite Fotoaktion „Ich Freu‘ mich auf die Gartenschau!“ der Lokalen Agenda auf dem Wochenmarkt statt. Nachdem zwei Wochen zuvor bereits der Arbeitskreis Klimaschutz sein Zelt am…

    27. März 2018
  • 22. März 2018

    Landesgartenschau-Ausstellung zieht ins Alte Rathaus um

    Frische Blumen und grüne Gießkannen machen im Alten Rathaus Lust auf den Frühling: Nach der Bürgerinfo-Veranstaltung vom Montag ist die Ausstellung zur Landesgartenschau-Bewerbung dorthin umgezogen. Im Alten Rathaus sowie in…

    22. März 2018
  • 20. März 2018

    „Das richtige Projekt zur richtigen Zeit“

    „Höher.Grüner.Weiter.“ lautet das Motto der Bewerbung der Stadt Rottweil um die Landesgartenschau. Das Konzept spricht die Bürger an, macht neugierig und kreativ. Das zeigte das große Interesse an der Infoveranstaltung…

    20. März 2018
  • 19. März 2018

     „Stadtputzete“ bringt einen Anhänger voll Müll und Sauberkeit in die Stadt

    Das „Bürgerforum Perspektiven Rottweil“ hat zur zweiten „Stadtputzete“ eingeladen und viele sind gekommen.

    19. März 2018
  • 16. März 2018

    1.500 Hasen verstecken sich in 30 Geschäften

    Passend zu Ostern und zur Bewerbung Rottweils für die Landesgartenschau 2028 haben sich Gewerbe- und Handelsverein sowie die Stadt ein Gewinnspiel einfallen lassen. Vom 19. bis 24. März sind in…

    16. März 2018
  • 16. März 2018

    Stadt startet Aktion „Bring es auf den Punkt“

    „Was bringt uns eine Landesgartenschau?“ Diese Frage steht am Montag, 19. März, im Mittelpunkt der städtischen Bürgerinfo im Kapuziner. Gleichzeitig startet die Aktion „Bring es auf den Punkt“ – die…

    16. März 2018
  • 16. März 2018

    Bücherei bietet Lesestoff zur Landesgartenschau

    Marie-Theres Müller und ihre Kolleginnen vom Team der Stadtbücherei haben jede Menge lesenswerte Bücher rund um das Thema Landesgartenschau zusammengestellt. Einen ganzen Büchertisch rund um Garten, Grün und Ökologie bietet…

    16. März 2018
  • 13. März 2018

    Was für die einen die Blumen ist für die anderen die Infrastruktur

    Rottweil hat sich für die Landesgartenschau im Jahr 2028 beworben. Die Begeisterung bei vielen Gruppen, aber auch in der Bevölkerung insgesamt, ist groß. Viele Ideen und Vorschläge gibt es bereits…

    13. März 2018
  • 13. März 2018

    Saubere Stadt Rottweil – Zweite „Stadtputzete“ rund um den Stadtgraben

    Das „Bürgerforum Perspektiven Rottweil“ lädt zur zweiten „Stadtputzete im Stadtgraben“ ein

    13. März 2018
  • 12. März 2018

    Landesgartenschau: Arbeitskreis Klimaschutz auf dem Wochenmarkt aktiv

    Aktion der Lokalen Agenda 21 / Bürger steuern viele Ideen bei

    12. März 2018
  • 8. März 2018

    Virtuelle Karte zeigt „RW 2028“

    Die Stadt Rottweil baut ihre Internetseite www.rw2028.de zur Landesgartenschau-Bewerbung weiter aus:

    8. März 2018
  • 8. März 2018

    Arbeitskreis Klimaschutz setzt sich für Landesgartenschau ein

    Der Arbeitskreis Klimaschutz der Lokalen Agenda 21 präsentiert sich an einem Stand auf dem Rottweiler Wochenmarkt am Samstag, 10. März von 9 bis 12 Uhr. Dabei signalisieren die Klimaschützer ihre…

    8. März 2018
  • 7. März 2018

    Bürgerinformation Landesgartenschau

    Die Stadt Rottweil lädt am Montag, 19. März, zu einer Bürgerinformation rund um das Thema Landesgartenschau in den Kapuziner ein. Beginn ist um 19 Uhr (Einlass 18.30).

    7. März 2018
  • 27. Februar 2018

    Rottweiler Umweltforum unterstützt Landesgartenschau-Bewerbung – auch wegen dramatischen Artenschwundes bei Wildbienen

    Auf „Eine Reise in die faszinierende Welt der Wildbienen“ führte der Experte Dr. Paul Westrich am Freitag-Abend im voll besetzten Jugendstil-Festsaal des Vinzenz-von-Paul-Hospitals ein begeistertes Publikum. Die Veranstaltung im Rahmen…

    27. Februar 2018
  • 8. Februar 2018

    Landesgartenschau goes Fasnet

    Rechtzeitig zur Fasnet verteilt die Stadtverwaltung Rottweil eine ganz besondere Saatmischung: „Original Rottweiler Narrensamen“. Anlass ist die Landesgartenschau-Bewerbung. Druckfrisch liegen außerdem handliche Flyer mit Kurzinfos zur Bewerbung vor, zudem gibt…

    8. Februar 2018
  • 29. Januar 2018

    Landesgartenschau: Bewerbungsunterlagen vorgestellt

    Oberbürgermeister Ralf Broß und Bürgermeister Dr. Christian Ruf haben am Dienstag, 23. Januar, der Öffentlichkeit die Rottweiler Bewerbungsunterlagen für die Landesgartenschau vorgestellt. Stellvertretend für alle Unterstützer überreichten sie gedruckte Exemplare…

    29. Januar 2018
  • 22. Dezember 2017

    Landesgartenschau: Rottweil bewirbt sich

    Die Stadt Rottweil hat ihre Bewerbung für eine Landesgartenschau in den Jahren 2026 bis 2030 eingereicht. Eine kleine Delegation mit Oberbürgermeister Ralf Broß an der Spitze gab am Freitagvormittag die…

    22. Dezember 2017
  • 7. November 2017

    Landesgartenschau: Stadt startet Bürgerbeteiligung

    Bei der Bewerbung um eine Landesgartenschau setzt die Stadt Rottweil auf eine breite Beteiligung der Bürger. Am 11. November findet ab 14 Uhr ein Bürgerspaziergang über das mögliche Gartenschaugelände statt.…

    7. November 2017

Impressum
Datenschutz
Begriffsbestimmungen
Cookie-Einstellungen